土地富山市大泉パレットタウン大泉Ⅴ
富山市大泉パレットタウン大泉Ⅴ
富山環状線(草島線)沿いの分譲地です。
最寄りのスーパーまで車3分、南富山駅徒歩12分。
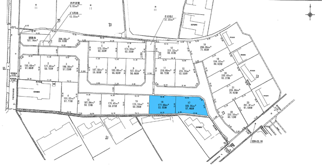
パレットタウン大泉Ⅴ 16号地



近隣道路


・16号地
面積176.98㎡(53.53坪)/坪単価18.5万円/土地価格990.305万円
※建築条件付き
※上水道負担金82,500円
※下水道負担金100,000円
※消雪負担金200,000円
※消雪装置基金50,000円
【周辺環境】
・堀川小学校まで約1km、徒歩17分
・堀川中学校まで約820m、徒歩13分
・南富山駅まで約850m、徒歩12分
・バロー本郷店まで約800m、車3分
・ウェルシア富山本郷店まで約700m、車2分
・市民病院まで約2.7km、車8分
概要
- 物件種別
- 売土地
- 土地面積
- 176.98㎡
- 所在地
- 富山市大泉
- 取引形態
- 売主
- 都市計画
- 市街化区域
- 用途地域
- 第一種住居専用
- 建ぺい率
- 60%
- 容積率
- 200%
- 建築条件
- 建築条件あり
- 地目
- 宅地
- 引渡し時期
- 7月上旬以降
- 面積計測方式
- 公簿
- 土地権利
- 所有権
- 接道幅員1
- 北6m
- 接道幅員2
- 東6m
- 小学校
- 堀川小学校
- 中学校
- 堀川中学校
お支払い条件
- 価格
- 990.305万円
- 坪単価
- 18.5万円
- 諸費用
- ※上水道負担金82,500円 ※下水道負担金100,000円 ※消雪負担金200,000円 ※消雪装置基金50,000円
交通
- 駅名
- 南富山駅
- 駅からの距離
- 850m
- 駅からの徒歩
- 12分